
Grond
Open
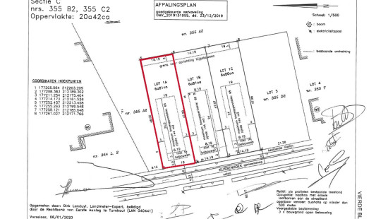
681 m² grondoppervlakte
Pandcode: 1480764
Beschrijving van het pand
Specificaties
Kenmerken
Algemeen
Grondoppervlakte
681.00m²
Bebouwbare oppervlakte
144.00m²
Breedte grond
14.19m
Type oppervlakte
Bruto
Oriëntatie perceel
Oost
Oriëntatie voorgevel
West
Omgeving
Bosrijk
Groene omgeving
Verwarming
Type
Niet bepaald
Radiator
Niet bepaald
Verwarmingsmateriaal
Niet bepaald
Diversen
Schrijnwerk
Niet bepaald
Isolatie
Niet bepaald
Warm water
Niet bepaald
Gebouw
Lift aanwezig
Nee
Technische en juridische informatie
Algemeen
Beschermd erfgoed
Nee
Opgenomen in een inventaris van onroerend erfgoed
Nee
Energie en elektriciteit
Nutsvoorzieningen
Riolering: aan te sluiten
Elektriciteit: aan te sluiten
Water: aan te sluiten
Energielabel
-
Planningsinformatie
Stedenbouwkundige verplichting
Nee
In inventaris van de niet uitgebate bedrijfsruimten
Nee
Voorwerp van rooiplan
Nee
Herstelmaatregel
Geen rechterlijke herstelmaatregel of bestuurlijke maatregel opgelegd
Verkavelingsvergunning uitgereikt
Ja
Voorkoopsrecht ruimtelijke ordening
Nee
Stedelijke bestemming
Woongebied
Overstromingsgebied
Onroerend goed, niet gelegen in een overstromingsgebied
P(erceel) score
klasse A
G(ebouw) score
klasse A
Renovatieverplichting
Niet van toepassing/Non-applicable
In watergevoelig gebied
Niet van toepassing/Non-applicable
Sluiten













